Meine Bekannte auf den Philippinen Gordana, hat sich gemeldet. Sie hat selten Internet und dadurch auch kaum Strom, aber sie lebt. Es gab einige Tote und viele die geflüchtet sind. An Hand der Grafik unten sieht man den Weg den er jetzt über Thailand gehen wird. Bleibt sicher und gesund. Euer Helmut
Den vorherigen Bericht könnt ihr nochmal unten sehen. Und es gibt eine aktuelle Sonderwarnung für Vietnam.
Thailand bereitet sich auf das Chaos des Sturms Bualoy und schwere Überschwemmungen vor
Monsun-Trog und Seewinde erhöhen das Risiko von Sturzfluten und Abflüssen
Puntid Tantivangphaisal : Samstag, 27. September 2025

Das Thailändische Wtteramt ( TMD) hat die zweite Warnung vor dem tropischen Sturm Bualoy herausgegeben und sagt heftige Regenfälle in verschiedenen Regionen Thailands, darunter auch Bagkok, mit einer Niederschlagswahrscheinlichkeit von 80 % voraus.
Betroffen sind heute, am 27. September, 47 Provinzen. In den nordöstlichen und östlichen Regionen werden heftige Regenfälle erwartet, insbesondere in Provinzen wie Phitsanulok, Phetchabun, Loei, Nong Bua Lamphu, Udon Thani, Chaiyaphum, Khon Kaen, Nakhon Ratchasima, Buriram, Chanthaburi und Trat. Auch in den nördlichen und zentralen Regionen, einschließlich Bangkok und den umliegenden Gebieten, wird es in bestimmten Gebieten zu heftigen Regenfällen kommen.
Die Bewohner Nordthailands werden dringend gebeten, sich vor den möglichen Gefahren durch Starkregen und Niederschlagsmengen in Acht zu nehmen. Diese können insbesondere in Bergregionen, im Tiefland und in hochwassergefährdeten Gebieten zu Sturzfluten, Waldabschwemmungen und Überschwemmungen führen. Das TMD berichtet, dass in drei Regionen 80 % der Regenfälle auftreten könnten, wobei 52 Provinzen voraussichtlich betroffen sein werden.
Die starke Monsunflut über dem unteren Norden und Nordosten Thailands, kombiniert mit einem gemäßigten Südwestmonsun über der Andamanensee, Thailand und dem Golf von Thailand, trägt zu mäßiger bis starker Wind- und Wellenaktivität bei. In der oberen Andamanensee sind Wellen von bis zu zwei Metern möglich, bei Sturm sogar über zwei Meter. In der unteren Andamanensee und im oberen Golf von Thailand werden Wellen von ein bis zwei Metern erwartet, bei Sturm sogar bis zu zwei Metern. Seefahrern wird geraten, vorsichtig zu sein und Gebiete mit Gewittern zu meiden.
Der tropische Sturm Bualoy, der sich derzeit im zentralen Südchinesischen Meer befindet, wird voraussichtlich zwischen morgen, dem 28. September, und Montag, dem 29. September, in Nordvietnam auf Land treffen.

Die Wettervorhersage für Thailand von heute 6 Uhr bis morgen 6 Uhr deutet auf Gewitter in 70 % der nördlichen Region hin, mit starkem Regen in Gebieten wie Chiang Mai, Lamphun, Lampang, Phrae, Sukhothai, Uttaradit, Phitsanulok und Phetchabun. Die Temperaturen liegen zwischen 22 und 24 °C in der Nacht und 3 bis 33 °C tagsüber, bei wechselnden Windgeschwindigkeiten von 10 bis 15 km/h.
Im Nordosten werden 80 % der Region Gewitter mit heftigen bis sehr heftigen Regenfällen und starken Winden erleben, insbesondere in Provinzen wie Loei, Nong Bua Lamphu, Chaiyaphum, Nong Khai, Udon Thani, Sakon Nakhon, Khon Kaen, Maha Sarakham, Kalasin, Mukdahan, Roi Et, Surin, Sisaket, Nakhon Ratchasima, Ubon Ratchathani, Buriram, Yasothon und Amnat Charoen. Die Temperaturen werden zwischen 23 und 25 °C in der Nacht und 29 und 32 °C am Tag liegen, mit wechselnden Windgeschwindigkeiten von 10 bis 30 km/h.Verwandte Artikel
In der Zentralregion wird es auf 70 % der Fläche Gewitter geben, mit starken Regenfällen in Nakhon Sawan, Uthai Thani, Chai Nat, Lopburi, Saraburi und Kanchanaburi. Die Temperaturen werden zwischen 24 und 26 °C in der Nacht und 32 bis 34 °C am Tag liegen, mit Südwestwinden von 10 bis 25 km/h.
Im Osten werden in 80 % der Region in Nakhon Nayok, Prachin Buri, Sa Kaeo, Chachoengsao, Rayong, Chanthaburi und Trat Gewitter mit starkem bis sehr starkem Regen erwartet. Die Temperaturen liegen zwischen 23 und 26 °C nachts und 27 und 32 °C tagsüber, bei Südwestwinden von 15 bis 35 km/h. Die Meereswellen werden zwischen 1 und 2 Metern hoch sein, bei Sturm sogar über 2 Meter.

In Südthailand an der Ostküste wird es in 40 % der Fläche Gewitter geben, hauptsächlich in Phetchaburi, Prachuap Khiri Khan, Chumphon und Surat Thani. Die Temperaturen reichen von 23 bis 26 °C nachts bis 32 bis 34 °C tagsüber. Ab Surat Thani weht ein Südwestwind von 15 bis 35 km/h, mit Meereswellen von 1 bis 2 Metern und stürmischen Wellen, die etwa 2 Meter hoch werden. Ab Nakhon Si Thammarat weht ein Südwestwind von 15 bis 30 km/h, mit Meereswellen von 1 Meter und stürmischen Bedingungen, die Wellen auf 1 bis 2 Meter ansteigen lassen.
An der Westküste Südthailands werden in 40 % der Gebiete in Ranong und Phang Nga Gewitter mit heftigen Regenfällen auftreten. Die Temperaturen liegen zwischen 24 und 27 °C nachts und 30 bis 33 °C tagsüber. Ab Phuket weht ein Südwestwind mit 20 bis 35 km/h, die Meereswellen erreichen eine Höhe von etwa 2 Metern, bei Sturm sogar über 3 Meter. Ab Krabi weht ein Südwestwind mit 15 bis 35 km/h, die Meereswellen sind 1 bis 2 Meter hoch, bei Sturm erreichen die Wellen eine Höhe von etwa 2 Metern.
In Bangkok und Umgebung wird es in 80 % der Fläche Gewitter geben, an manchen Orten auch heftige Regenfälle. Die Temperaturen werden zwischen 25 und 26 °C in der Nacht und 31 bis 33 °C am Tag liegen, bei Südwestwinden mit 10 bis 25 km/h, berichtete KhaoSod.
================================================================================
HIER IST EINE DRINGEND SONDERWARNUNG VOR DEN ENTWICKLUNGEN UND WIRKUNGEN VON TYPHOON NO. 10 AUF UNSEREM HAUPTLAND (JEDES TEILBUTTON KANN JETZT SEINE MACHT ZEIGEN)
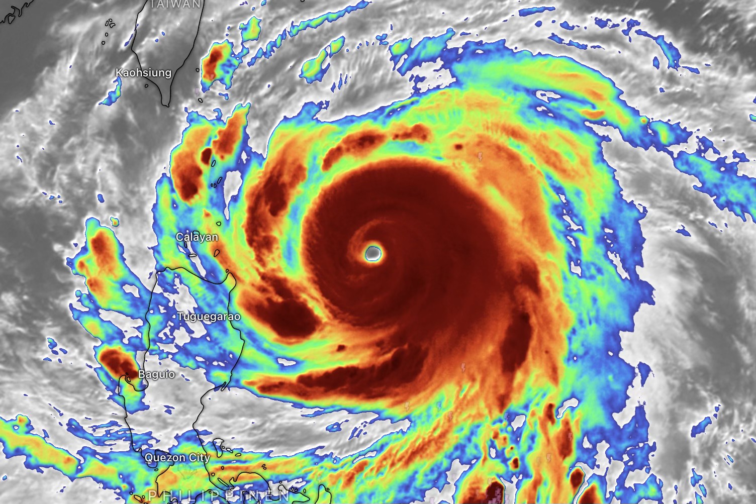
Nachdem er heute (26. September) über eine Reihe von Inseln in den Zentralphilippinen gefegt hat, hat das Auge des Taifun BUALOI heute Abend offiziell in die Ostsee eingedrungen und ist der zehnte Taifun, der 2025 in der Region operiert Seine Stärke ist im Vergleich zu heute Nachmittag gestiegen und erreicht jetzt Kategorie 11–12 mit Böen bis zur Kategorie 15.
Morgen (27. September) zieht das Unwetter mit einer Geschwindigkeit von etwa 35 km/h schnell in westnordwestlicher Richtung und verstärkt sich weiter. Bis morgen Abend wird seine Intensität Kategorie 13 erreichen, und das Zentrum liegt auf den südlichen Paracelinseln.
Ab morgen Nachmittag (27. September) wird unter dem westlichen Kreislauf des Taifun Nr. 10 die Küstengebiete von Da Nang bis Phu Yen in Abständen Starkregen erleben. Die Regenzone verlagert sich dann nach Norden nach Quang Tri – Hue, dann nach Thanh Hoa – Ha Tinh am 28. September und später in die nördlichen Provinzen.
Mit den extrem schnellen Entwicklungen des Taifun Nr. 10 haben wir erst morgen (27. September) Zeit, alle Vorbereitungen abzuschließen, bevor der Sturm anfängt.
DRINGEND WARNUNG: Es handelt sich um einen SEHR STARKER SUPER-TYPHOON, der mit Böen bis zur Kategorie 17 die Kategorie 14 erreichen kann Das Einschlaggebiet ist sehr breit und umfasst die gesamten nördlichen Provinzen – Thanh Hoa – Nghe An – Ha Tinh – Quang Tri – Hue – Da Nang – Quang Ngai.
• Der Zeitpunkt des Landfalls wird voraussichtlich am 28. September (wenn das Sturmzentrum direkt von Quang Tri nach Da Nang landetakt) oder am 29. September (wenn das Landfall von Thanh Hoa nach Ha Tinh stattfindet) erwartet.
• Beim Landfall wird die Intensität des Taifuns sehr stark sein, möglicherweise Kategorie 12–13 mit Böen der Kategorie 14–15.
Die vom Taifun Nr. 10 getragene „WASSERBOMBE“ wird für 2 bis 3 Tage über die gesamte nördliche Region – Nord- und Zentralvietnam – strömen und fast alle Flüsse überflutet. Einige Flüsse können GROSSE ÜBERFLUTUNGEN erleben, zusammen mit dem Risiko von Sturzfluten und Erdrutschen in Berggebieten, Ausläufern und entlang schmalen Flüssen und Bachtälern. Heftige, hochintensive Niederschläge werden auch in tief gelegenen Gebieten zu weit verbreiteten Überschwemmungen führen
Was BUALOI auf den Philippinen zerstört hat, ist die alarmierendste Lehre für den Katastrophenschutz gegen diesen Taifun Nr. 10. ABSOLUT NICHT KOMPLAKENT SEIN. Folgen Sie in den kommenden Tagen weiterhin Prognosen von vertrauenswürdigen Massenmedienkanälen
Bitte TEILT DIESE INFORMATION FLEISSIG mit eurer Gemeinde, markiert Verwandte und Freunde, damit sie auf dem Laufenden bleiben, und bereitet proaktiv Antwortpläne für Taifun Nr. 10 vor
Ausgestellt um: 20:45 Uhr, 26. September.
·